Uma câmera a mais de um quilômetro abaixo do Oceano Pacífico encontrou uma “estrada de tijolos amarelos” e deixa uma pergunta desconfortável sobre nossos mares
Explore o mistério da estrada de tijolos amarelos descoberta nas profundezas do oceano e sua única explicação geológica
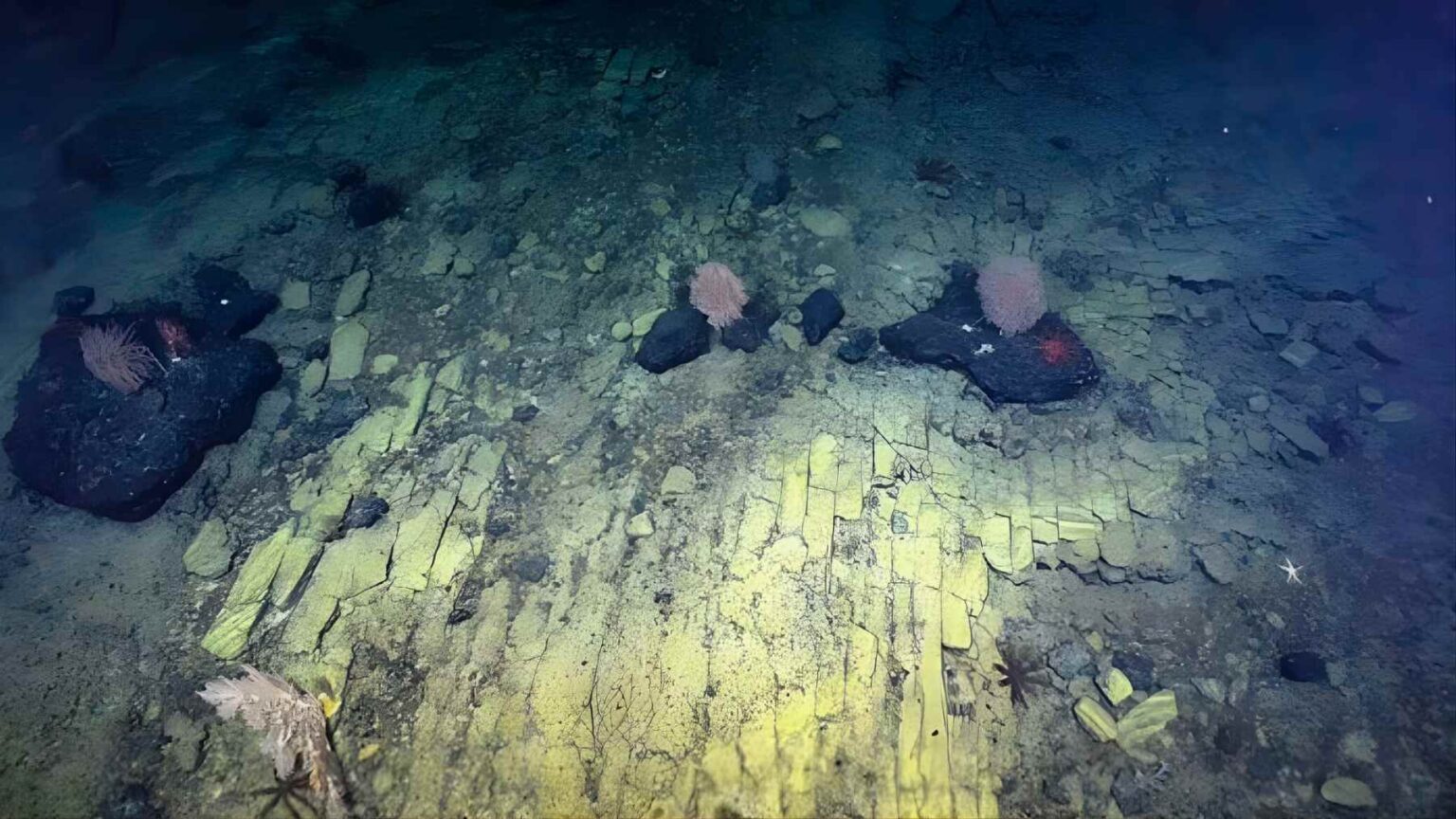
A imensidão azul esconde mistérios que desafiam a nossa compreensão sobre a formação do planeta e suas fascinantes paisagens submersas. Recentemente, a descoberta de uma estrutura que remete a uma estrada pavimentada a mais de um quilômetro de profundidade capturou a imaginação de milhões de pessoas ao redor do mundo. O ponto principal deste achado está na curiosa organização geométrica de rochas vulcânicas que parecem ter sido assentadas de forma intencional no leito do Oceano Pacífico.

Como a ciência explica a formação da estrada pavimentada no Pacífico?
O fenômeno ocorreu na crista de Liliʻuokalani, onde a atividade vulcânica moldou o relevo através de processos térmicos extremos ao longo de eras. Quando a lava entra em contato com a água gelada das profundezas, ela sofre um resfriamento súbito que gera tensões internas na estrutura mineral da rocha recém-formada, resultando em rachaduras simétricas.
Esse estresse térmico resulta em fraturas que seguem padrões lineares e perpendiculares, criando blocos que se encaixam de maneira surpreendente para os observadores humanos. Existem critérios geológicos específicos que explicam por que essas pedras mantêm um alinhamento tão preciso e organizado no fundo do mar, conforme os pontos listados abaixo:
- Contrações térmicas em rochas do tipo hialoclastite.
- Fraturas de noventa graus originadas por resfriamento rápido.
- Erosão controlada pela pressão constante da coluna de água.
Quais segredos a expedição Nautilus encontrou nas montanhas submarinas?
A equipe de exploração utilizou tecnologias de ponta para navegar por áreas nunca antes vistas pelo olho humano, revelando uma geologia rica e diversificada. O objetivo central era catalogar a vida marinha e as formações rochosas que compõem o assoalho oceânico em uma das regiões mais isoladas e profundas do nosso imenso planeta azul.

Durante as transmissões ao vivo, os pesquisadores notaram que o solo marinho apresenta características que lembram ruínas de civilizações antigas, embora sejam formações naturais. A complexidade do ambiente subaquático exige uma análise detalhada dos elementos que compõem esse cenário intrigante, destacando os seguintes aspectos fundamentais:
- Depósitos minerais acumulados em fendas vulcânicas milenares.
- Presença de crostas de ferromanganês sobre o leito oceânico.
- Ecossistemas únicos adaptados à ausência total de luz solar.
Por que o padrão geométrico dessas rochas engana a percepção humana?
O cérebro humano é programado para identificar padrões conhecidos em formas aleatórias da natureza, um fenômeno psicológico que cria associações imediatas com objetos do cotidiano. Ao visualizar os blocos retangulares perfeitamente alinhados, a mente associa a imagem a uma construção artificial, ignorando a capacidade da geologia de criar simetrias perfeitas.
Essa interpretação visual reforça o interesse pela exploração científica, pois transforma dados técnicos em narrativas envolventes que aproximam o público das descobertas acadêmicas. O impacto dessas imagens nas plataformas digitais demonstra como a curiosidade sobre o desconhecido ainda é um motor potente para a divulgação do conhecimento geográfico e científico atual.
Qual é a importância de continuar explorando as profundezas oceânicas?
Conhecer o que existe abaixo da superfície ajuda a monitorar a saúde do planeta e a entender os impactos das mudanças climáticas globais nos oceanos. Cada nova imagem capturada por robôs submarinos fornece peças valiosas para o quebra-cabeça da evolução da Terra, permitindo previsões mais precisas sobre fenômenos naturais e movimentos tectônicos.

O investimento em missões de mapeamento abissal garante que recursos biológicos e geológicos sejam identificados antes que sofram interferências externas ou danos irreversíveis. A busca por respostas no fundo do mar é uma jornada contínua que promete revelar muitos outros segredos tão fascinantes quanto a famosa estrada de tijolos amarelos do Pacífico.
Referências: How little we’ve seen: A visual coverage estimate of the deep seafloor | Science Advances